आश्चर्य! पृथ्वीवर सात नाही तर आठ महाद्वीप, वैज्ञानिकांनी तयार केला समुद्राखाली बुडालेल्या महाद्वीपाचा नवा नकाशा...
By ऑनलाइन लोकमत | Updated: June 25, 2020 11:26 IST2020-06-25T10:56:24+5:302020-06-25T11:26:47+5:30
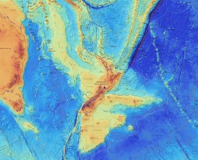
हा आठवा महाद्वीप अनेक वर्षांआधी समुद्रात दफन झालाय. हा महाद्वीप ऑस्ट्रेलियापासून दक्षिण पूर्वेकडे न्यूझीलंडच्या वर आहे. आता वैज्ञानिकांनी याचा नवा नकाशा तयार केलाय.


हा आठवा महाद्वीप अनेक वर्षांआधी समुद्रात दफन झालाय. हा महाद्वीप ऑस्ट्रेलियापासून दक्षिण पूर्वेकडे न्यूझीलंडच्या वर आहे. आता वैज्ञानिकांनी याचा नवा नकाशा तयार केलाय.

या नकाशातून समोर येतं की, हा महाद्वीप 50 लाख वर्ग किलोमीटर परिसरात पसरलेला आहे. म्हणजे हा भारताच्या क्षेत्रफळापेक्षा साधारण 17 लाख वर्ग किलोमीटर मोठा आहे. भारताचं क्षेत्रफळ हे 32.87 लाख वर्ग किलोमीटर इतकं आहे.

या आठव्या महाद्वीपाचं नाव आहे झीलॅंडीया (Zealandia). वैज्ञानिकांनी सांगितले की, हा साधारण 2.30 कोटी वर्षाआधी समुद्रात बुडाला होता.

Zealandia सुपर कॉन्टीनेन्ट गोंडवानालॅंडपासून 7.90 कोटी वर्षाआधी तुटून वेगळा झाला होता. या महाद्वीपाबाबत सर्वात आधी तीन वर्षाआधी माहिती मिळाली होती. तेव्हा वैज्ञानिक सतत यावर रिसर्च करत आहेत.

आता न्यूझीलंडच्या वैज्ञानिकांनी याचा टेक्टोनिक आणि बॅथीमेट्रिक नकाशा तयार केलाय. जेणेकरून याच्यासंबंधी भूकंपीय हालचाली आणि समुद्राबाबत माहिती मिळवता यावी.

जीएनएल सायन्सचे जिओलॉजिस्ट निक मोरटायमर म्हणाले की, हा नकाशा आपल्याला जगाबाबत खूप काही सांगतो. हा फार खास नकाशा आहे. ही एक फार मोठी वैज्ञानिक उपलब्धी आहे.

निक म्हणाले की, आठव्या महाद्वीपाची कॉन्सेप्ट 1995 मध्ये आली होती. पण याला शोधण्यासाठी 2017 पर्यंतचा वेळ लागला आणि नंतर या हरवलेल्या आठव्या महाद्वीपाला मान्यता दिली गेली.

Zealandia प्रशांत महासागराच्या आत 3800 फूट खोलात आहे. नव्या नकाशातून समोर आलं की, Zealandia मध्ये फार चढउतार असलेली जमीन आहे. कुठे फार उंच डोंगर तर कुठे फार खोल दऱ्या आहेत.

Zealandia चा संपूर्ण भाग समुद्राच्या आत आहे. पण लॉर्ड होवे आइलॅंडजवळ बॉल्स पिरॅमिड नावाचा डोंगर समुद्रातून बाहेर आलेला आहे. इथूनच कळतं की, समुद्राच्या खाली सुद्धा आणखी एक महाद्वीप आहे.

















